ABD'de kasırga hazırlığı: 1 milyon kişi tahliye edilecek

11-09-2018
Etiketler ABD Kasırga Hazırlığı
A+ A-

Haber Merkezi - ABD'nin doğu yakası onlarca yıldır gerçekleşen en büyük kasırgaya dönüşme ihtimali olan Florence Kasırgası'na hazırlık yapıyor.

 

Hazırlıklar kapsamında Güney Carolina eyaletinin sahil bölgelerinde yaşayan 1 milyon kişinin tahliye edilmesine karar verilirken Kuzey Carolina ve Virginia eyaletleri de olağanüstü hal ilan etti.

 

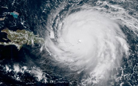
Yetkililere göre halihazırda 4. seviyeye ulaşmış bulunan Florence Kasırgası, sahile yaklaştıkça daha da güçlenecek. 4. seviyedeki kasırgaların hızları saate 200 kilometreye kadar çıkıyor.

 

Florence pazartesi sabahı 2. seviyedeydi.

 

Uzmanların tahminleri tutarsa Florence, 1989'da Kuzey Carolina'yı vuran Hugo Kasırgası'ndan beri bölgeden geçen en güçlü kasırga olacak.

 

Hugo arkasında 7 milyar dolarlık hasar bırakmış, 49 kişinin de ölümüne yol açmıştı.

 

ABD'deki Ulusal Fırtına Merkezi de Florence'ın "aşırı derecede tehlikeli bir hava olayı" olduğunu açıkladı.

 

Kasırganın Perşembe akşamı ABD sahiline ulaşması ve en az bir gün boyunca aynı bölgede kalması bekleniyor.

 

Güney Carolina Salı öğlenden itibaren bir milyon kişiyi tahliye işlemlerine başlayacağını duyurdu. Yetkililer eyaletin fırtınanın tam gözünde yer aldığı uyarısında bulundu. Süpermarketlerde uzun kuyruklar oluşurken su, pil ve camları kapatmak için gereken tahta plakalar hızla tükendi.

 

Kuzey Carolina'da ise yetkililer tarımsal ürünlerin taşınmasına dair kuralları geçici olarak kaldırarak hasat döneminde ürünlerini yeni almış çiftçilerin fırtına başlamadan ürünleri bölgeden çıkarmasını hedefliyor.

Kasırga bulutlarının uydu görüntülerinde de gittikçe hızlandığı görülüyor.

 

Dünyanın en büyük donanma üssü olan Norfolk Üssü'ndeki savaş gemileri ise fırtınaya limanda yakalanmamak için denize gönderilecek.

 

Üs idaresi Facebook hesabından yaptığı paylaşımda üs otoparkının önceki fırtınalarda da sele maruz kaldığını hatırlatarak denizcilere araçlarını otoparklarda bırakmama uyarısında bulundu. (Kaynak: BBC Türkçe)

 

Yorumlar

Misafir olarak yorum yazın ya da daha etkili bir deneyim için oturum açın

Yorum yazın

Gerekli
Gerekli