Haber Merkezi – Filipinler'in orta ve güneydoğu kesimlerini vuran Rai Tayfunu'nun yol açtığı afette ölenlerin sayısı 75'e çıktı.
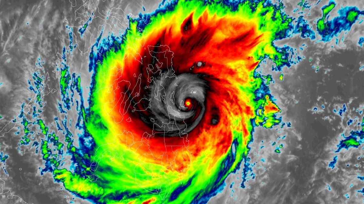
BBC'nin haberine göre, hızı saatte 195 kilometreyi bulan tayfun, birçok bölgede elektrik kesintisi ve ciddi yıkıma sebep oldu.
Ülkenin orta ve güneydoğu kesimlerinde etkili olan tayfunun neden olduğu sel, şiddetli fırtına ve yıkımlarda hayatını kaybedenlerin sayısı 75'e yükseldi.
Filipinler'in merkezinde yer alan ve afetten en fazla etkilenen kenti Bohol'un Valisi Arthur Yap, afette 49 kişinin hayatını kaybettiğini ve 10 kişinin kayıp olduğunu belirtti.
Yap, vilayet idari sınırları içerisindeki belediye başkanlarına acil yardım çalışmalarına destek olmaları ve halkın gıda, su gibi acil ihtiyaçlarını karşılamaları talimatı verdi.

Tayfunun yol açtığı şiddetli yağış ve fırtına, birçok köyde ağaçların devrilmesine, su baskınlarına, evlerin ve yolların zarar görmesine neden oldu.
Afetten yaklaşık 780 bin kişinin etkilendiği ve 300 bin köylünün tahliye edilerek güvenli bölgelere sığındığı kaydedildi.
Filipinler ordusu, acil yardım ve arama kurtarma çalışmalarına destek için bölgeye asker sevk etti.
Bölgede incelemelerde bulunan Devlet Başkanı Rodrigo Duterte, 40 milyon dolarlık yardım yapılacağını duyurdu.
Filipinler'de, her yıl ortalama 20 fırtına ve tayfun gerçekleşiyor.
Ülkeyi vuran en ölümcül tayfun olarak bilinen Haiyan nedeniyle 2013'te 6 binden fazla kişi ölmüş ve büyük yıkım yaşanmıştı.
Yorumlar
Misafir olarak yorum yazın ya da daha etkili bir deneyim için oturum açın
Yorum yazın